Scottish Therapeutics Utility (STU)
- The Scottish Therapeutics Utility (STU) is a computer programme that uses data from GP IT systems with a focus on repeat prescribing and other clinical areas including respiratory prescribing.
- It generates a suite of standardised reports to facilitate targeted medicines management activity. The reports populate an interactive dashboard using prescription items issued by an individual practice.
- STU works alongside the clinical system to provide direct access to the individual patient clinical record for ease of use to make changes if required and supports identification and prioritisation of patients for review.
- STU is licensed by the Effective Prescribing & Therapeutics Division at the Scottish Government and is available to GP practices throughout Scotland free of charge.
- The Pharmacy Team within GP practices are using this programme already and will assist any interested clinicians. Find more information on STU and how to access it on the Effective Prescribing and Therapeutics Division website.
- STU searches will support the prescribing indicators discussed in this document to allow identification of patients for review.
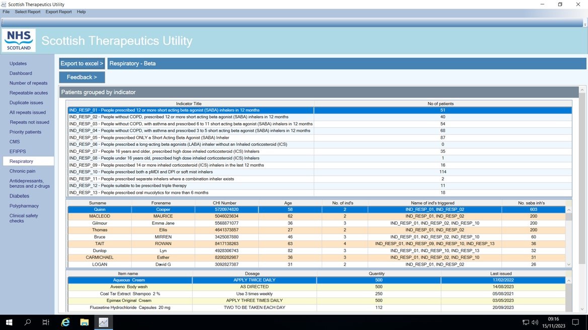
- The screenshots below show how the searches look within STU. Screenshots are taken from a test system with no real patient details displayed.
STU Screenshot – Example from respiratory tab – data tables
